Pterolophia zonata

Pterolophia zonata
Scientific classification Edit this classification
Kingdom: Animalia
Phylum: Arthropoda
Class: Insecta
Order: Coleoptera
Suborder: Polyphaga
Infraorder: Cucujiformia
Family: Cerambycidae
Tribe: Pteropliini
Genus: Pterolophia
Species:
P. zonata
Binomial name
Pterolophia zonata
(Bates, 1873)
Synonyms
  • Praonetha zonata Bates, 1873

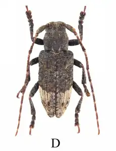
Pterolophia zonata is a species of beetle in the family Cerambycidae. It was described by Henry Walter Bates in 1873. It is known from Taiwan and Japan.[1]

References

  1. ^ BioLib.cz - Pterolophia zonata. Retrieved on 8 September 2014.