Glenea relicta
| Glenea relicta | |
|---|---|
| |
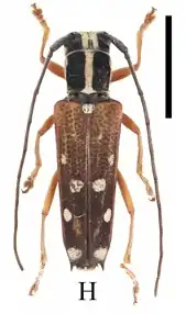
| Glenea relicta relicta | |
| Scientific classification | |
| Kingdom: | Animalia |
| Phylum: | Arthropoda |
| Class: | Insecta |
| Order: | Coleoptera |
| Suborder: | Polyphaga |
| Infraorder: | Cucujiformia |
| Family: | Cerambycidae |
| Genus: | Glenea |
| Species: | G. relicta
|
| Binomial name | |
| Glenea relicta Pascoe, 1868
| |
| Synonyms | |
| |
Glenea relicta is a species of beetle in the family Cerambycidae. It was described by Francis Polkinghorne Pascoe in 1868.[1] This species is found in China, Japan, Taiwan, Vietnam, India and Korea.[2]
Subspecies
- Glenea relicta relicta (China [Sichuan, Hubei, Jiangxi, Zhejiang, Jiangsu, Anhui, Shaanxi, Guizhou, Hunan, Fujian, Guangxi, Hainan, Guangdong], Vietnam, India, South Korea)
- Glenea relicta izuinsularis Fujita, 1980 (China [Hunan], Japan [Izu Islands])
- Glenea relicta formosensis Breuning, 1960 (Taiwan, Korea, Japan)
References
- ^ BioLib.cz - Glenea relicta. Retrieved on 8 September 2014.
- ^ Tavakilian, G.; Chevillotte, H. [hhttp://titan.gbif.fr/sel_genann1.php?numero=11192 "Glenea relicta Pascoe, 1858"]. Base de données Titan sur les Cerambycidés ou Longicornes. IRD-MNHN. Retrieved 4 July 2025.
